Wessinghuizerweg 13

9591 VJ Onstwedde

94 m2 5

469.000 K.K.

Deel dit object:

  Omschrijving

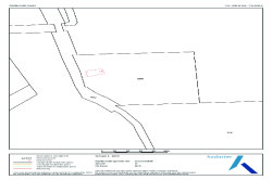
Op één van de allermooiste plekjes in Westerwolde, midden in natuurgebied én met een eigen bosperceel, staat dit idyllisch woonboerderijtje met vrijstaande garage en schuur, gelegen op een perceel van bijna 7.000² eigen grond.
De woning staat aan een semi-verhard laantje en het wandel-/fietspad naar de uitkijktoren bij Ter Wupping, een schitterend natuurgebied waar het beekje de Mussel-Aa doorheen kronkelt.

Indeling: centrale hal met zij-entree, garderobe en vaste kastruimte; woonkeuken (ca. 15.7m²) met een eenvoudige doch keurige inbouwkeuken met losse apparatuur; woonkamer (ca. 17.7m²) met schouw v.v. gashaard; 4 slaapkamers (ca. 5.8m², 6.5m², 10.1m², 11.3m²) allen met vaste inbouwkasten; badkamer met douche en wastafel; toiletruimte; inpandige deel-/schuurruimte (ca. 28.2m²) met een open zolder.

- beschikt over een eigen bosstrook!
- verwarming middels gaskachels.
- goed onderhouden.

Omgeving:
In Onstwedde zijn diverse winkels, er is een peuterschool, een basisschool en er is voortgezet onderwijs ook zijn er diverse sportverenigingen, voetbalvelden, tennisbanen en een (openlucht) zwembad. Voor uitgebreide voorzieningen zijn de plaatsen Stadskanaal, Winschoten en Veendam allen op redelijk korte afstand gelegen. Het dorp ligt in een schitterende (groene) omgeving met veel natuur-/en bosgebieden nabij.

  Kenmerken

Overdracht

Status:
Onder bod
Vraagprijs:
469.000 K.K.
Aanvaarding:
in overleg

Bouwvorm

Bouwjaar:
1900
Bouwvorm:
bestaande bouw

Indeling

Woonoppervlakte:
94 m2
Perceeloppervlakte:
6940 m2
Inhoud:
476 m3
Aantal kamers:
5
Aantal slaapkamers:
4

Energie

Warmwater:
geiser eigendom

Buitenruimte

Tuin:
tuin rondom: ,

Bergruimte

Schuur / Berging:
vrijstaand steen

Voorzieningen

Soort:
Energie Label:
G

  Kaart

 Foto's

 Plattegrond woning